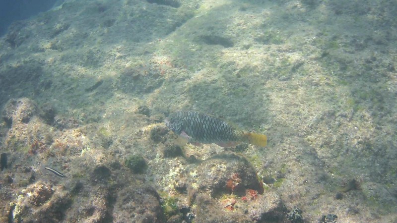
Yellowtail Parrotfish (Sparisoma rubripinne)

Leave a comment